Landeshauptstadt Dresden - www.dresden.de

https://www.dresden.de/de/leben/stadtportrait/statistik/geoinformationen/Stadtkarte.php 03.04.2024 13:00:20 Uhr 29.01.2026 08:36:53 Uhr

Stadtgrundkarte Dresden

Die Daten der digitalen Stadtgrundkarte umfassen die Topographie des Stadtgebietes. Auf dieser Seite erfahren Sie mehr zu den Inhalten und wo Sie diese bestellen können.  

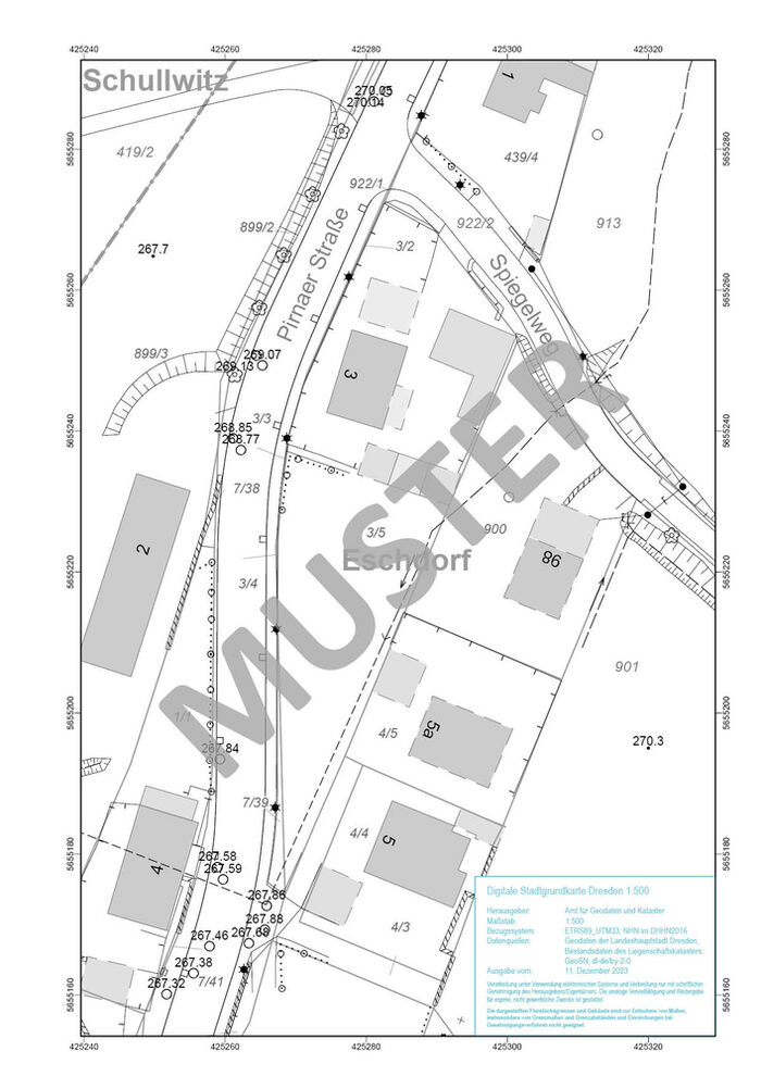
Beispielkarte DSK500
Beispiel für die Digitale Stadtgrundkarte 1:500

Die Stadtgrundkarte beinhaltet Straßen- und Wegebegrenzungen, Mauern, Zäune, Bäume, Relief, Gewässer, oberirdische Objekte der Ver- und Entsorgung (z. B. Abwasserschacht mit Höhenangaben). Die Darstellung erfolgt vorrangig im öffentlichen Bauraum.

Die darüber hinausgehenden Inhalte wie Gebäude, Flurstücksgrenzen und -nummern und Straßennamen sind Bestandsdaten des Liegenschaftskatasters und dienen der Information.

Für die Ausführung von Entwurfsvermessungen (Projektierungs- und Schlussvermessungen) ist der unten stehende Angebotskatalog zu verwenden. Dort sind auch Musterdateien zu finden.

Abgabeformen der „Stadtgrundkarte Dresden 1:500" sind:

  • Ausdruck in analoger Form oder als PDF-Datei in den Formaten A4 bis A0 (mit Gebäuden und Flurstücksgrenzen zur Information)
  • Datenbereitstellung in unterschiedlichen Datenformaten

Den Anforderungskatalog für Leistungen bei Projektierungs- und Schlussvermessungen für die Landeshauptstadt Dresden sowie die Mustershapes finden Sie auf der Seite Geodaten, Karten und sonstige Erzeugnisse unter dem Reiter "Vermessungstechnische Unterlagen und Vorschriften". 

Kontakt Geoservice

Geoservice (SG)

Landeshauptstadt Dresden
Amt für Geodaten und Kataster
Abt. Geoinformation

Besucheranschrift

WTC
Ammonstraße 74
01067 Dresden
6. Etage

Postanschrift

Postfach 12 00 20
01001 Dresden

Öffnungszeiten

Montag 9 bis 12 Uhr
Dienstag 9 bis 12, 13 bis 17 Uhr
Donnerstag 9 bis 12, 13 bis 16 Uhr

Zusätzlich sind Termine nach Vereinbarung möglich. Wir bitten Anfragen und Anträge zu Dienstleistungen des Amtes telefonisch oder per E-Mail zu stellen. Für eine Kundenberatung in den Diensträumen bitten wir um eine vorherige Terminvereinbarung.

Anzeige

Partner